Index Zid
Vijesti
Sport
Magazin
Magazin
Shopping
Ljubimci
Food
Mame
Auto
Fit
Chill
Horoskop
Oglasi
Recepti
Ostalo
Zaposli se na Indexu
Lajk.hr
Vježbe
Tečaj
TV program
Kino
Vrijeme
Kalendar
{{userInfo.Initials}}
{{userInfo.FirstName}}
{{userInfo.FirstName}}
Moj profil
Upravljanje računom
Odjavite se
#
Uragan
najnovije
najnovije
najčitanije
Meteorolog u prijenosu uživo iznenadio se zbog jednog podatka: "O moj Isuse"
METEOROLOG John Morales šokirao se uživo podatcima o snazi uragana Melissa.
31.10.2025.
Uragan napravio ogromnu štetu. Jamajčanski premijer objavio snimku iz zraka
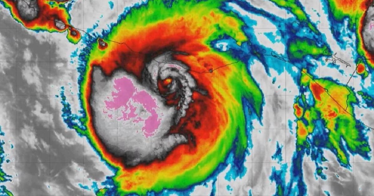
IZNIMNO snažan uragan Melissa stigao je do Kube nakon što je poharao Jamajku. Radi se o najsnažnijoj oluji s kojom se ta otočna zemlja ikad suočila.
29.10.2025.
Otputovala na Jamajku unatoč uraganu pa se žalila na hranu u resortu
PUTNIČKA agentica otputovala je na Jamajku unatoč uraganu pa se požalila na društvenim mrežama.
29.10.2025.
Snimke uragana Melissa preplavile TikTok, pogledajte stanje na Jamajci
IZNIMNO snažan uragan Melissa stigao je do Kube nakon što je jučer poharao Jamajku.
29.10.2025.
Šef DHMZ-a: S uraganima u Atlantiku se događa slična stvar kao i s tučom u Hrvatskoj
RAVNATELJ DHMZ-a Ivan Güttler objašnjava kako su uragani sve snažniji zbog rasta temperature mora. Iako je oluja manje, one najjače kategorije postaju sve češće, što je globalni trend.
29.10.2025.
Influencerica razbjesnila šalama o uraganu Melissa: "Kvari mi odmor"
AMERIČKA influencerica Hannah Grubbs izazvala je bijes javnosti neosjetljivim objavama o odmoru na Jamajci usred razornog uragana Melissa, da bi se kasnije pokušala ispričati.
29.10.2025.
Jedan od najsnažnijih uragana ikada pogodio Jamajku
JAMAJKU je pogodila najjača oluja na svijetu ove godine, a možda i najjača ikad na tom otoku.
29.10.2025.
VIDEO
Lažni videi morskih pasa u Jamajci postali viralni
DRUŠTVENIM mrežama, posebice TikTokom, šire se lažni videozapisi uragana Melissa stvoreni umjetnom inteligencijom.
28.10.2025.
Denzel Washington otkrio na koji je film u svojoj karijeri najponosniji
DENZEL Washington otkrio je kako je film Uragan onaj na koji je najponosniji, unatoč tome što je komercijalno podbacio.
15.10.2025.
Uragan Erin prijeti istočnoj obali SAD-a valovima do 30 metara
URAGAN Erin, koji je u subotu dosegnuo kategoriju 5, prijeti istočnoj obali SAD-a. Iako neće stići do kopna, očekuju se opasni valovi do 30 metara, obalne poplave i snažne morske struje.
18.8.2025.
Uragan pete kategorije prijeti američkoj obali. Očekuje se da će dodatno ojačati
URAGAN Erin naglo je ojačao dok se kretao iznad sjeveroistočnog Kariba, podižući snažne valove i donoseći kišu i olujne udare vjetra otocima južno od svoje putanje.
16.8.2025.
Američki meteorolozi upozoravaju: Uskoro dolazi vrhunac sezone uragana
NAKON mirnog početka, atlantska sezona uragana 2025. se pojačava.
8.8.2025.
Uragan Erick se približava Meksiku, dosegao 4. kategoriju: "Iznimno je opasan"
"IZNIMNO opasan" uragan Erick dosegnuo je jačinu četvrte kategorije na Saffir-Simpsonovoj ljestvici od maksimalno 5 dok se tijekom dana približava pacifičkoj obali južnog Meksika, izvijestio je Nacionalni centar za uragane (NHC) sa sjedištem u Miamiju.
19.6.2025.
PRIKAŽI JOŠ VIJESTI
Prijavite se
Brza prijava
(traje par sekundi)
Facebook
Google
Prijava emailom
Ako već niste registirani, poslat ćemo vam email s linkom za nastavak registracije.
Prijavite se
Kreiranjem i prijavom na račun slažete se s našim
Uvjetima korištenja
i
Pravilima o privatnosti